我們將使用cookie等資訊來優化您的體驗,繼續瀏覽即表示您同意我們使用。欲瞭解詳細內容,請詳閱隱私權保護政策
  • 地址:台中市西屯區台灣大道三段660號2樓(Rich19大樓)
  • 電話:0800-209-008 / (04)2452-0808
  • 信箱:dr.jimmy168@gmail.com
  • 「台北」「台中」「高雄」
維美醫學整形外科(維醫)診所
  • 團隊組成
    • 醫師團隊
    • 台北-維美x維醫
    • 台中-維美醫學整形外科
  • 皮膚修復
    • 告別妊娠紋-BIONE美磁波全解析!
    • 青春痘凹疤治療
    • 青春痘處理
      • 青春痘/膿包
      • 痘疤全攻略
    • 傷口不會好
      • 糖尿病傷口
      • 傷口組織液顏色?
      • 傷口再生癒合
    • 肝斑/黃褐斑
    • 酒糟性皮膚
      • 酒糟性皮膚炎
      • 紅通通關公臉? 玫瑰斑惹禍!
      • 蟲蟲大危機!臉紅癢癢症?
      • 臉腫瘤面面觀
    • 異位性皮膚炎
  • 美容修復
    • 微整併發症修復
      • 淚溝毛毛蟲與饅化臉
      • 微整硬塊與肉芽腫
      • 組織增生、凹陷與萎縮的綜合治療
    • 眼周修復
      • 打玻尿酸淚溝毛毛蟲怎麼辦?
      • 雙眼皮高位改低位修復
      • 下眼瞼退縮與外翻治療
      • 雙眼皮術後大小眼
    • 隆鼻修復
      • 鼻骨骨折重建
      • 隆鼻重修|全自體肋骨
      • 綜合性鼻整形|肋骨隆鼻重修
      • 鼻雕後|鼻埋線穿出與感染
      • 外傷性鼻骨骨折|臉骨骨折
      • 隆鼻感染
    • 隆乳修復
      • 胸部莢膜攣縮、自體脂肪豐胸
      • 男性女乳
    • 削骨修復
      • 二次正顎重修手術
      • 削骨手術不滿意問題
      • 下巴整形後假體不自然
    • 抽脂修復
      • 凹凸不平問題
  • 疤痕修復
    • 開眼頭疤痕預防與處理
    • 深度傷口疤痕原位再生技術
    • 蟹足腫治療 - BPCI環鑽法
    • 疤痕注射引發皮膚潰瘍之臨床處置
    • 疤痕修復完全指南 - 減張縫合技術
    • 蟹足腫治療終極指南
    • 玻尿酸壞死搶救
    • 剖腹產疤痕完美修復
    • 蟹足腫治療新紀元:Derma V 結合 SRT-100 全方位整合治療
    • BI-ONE 美磁波,無痛修復的革命性選擇
    • 如何除疤修疤,解決疤痕三良方
    • 告別疤痕焦慮:早期介入與治療新觀念
    • 臉部撕裂傷靠顯微手術可以好好除疤
    • 雙眼皮疤
    • 嘴唇疤痕
    • 鼻翼疤痕
    • 白疤黑色素細胞移植
  • 指甲修復
    • 甲溝炎(凍甲)根治權威攻略
    • 甲溝炎、凍甲怎麼辦?
      • 甲溝炎根治專家
      • 指甲矯正免拔指甲: 根治甲溝炎、肉芽、捲甲的 SOS 完整治療術
      • 告別慢性凍甲、肉芽!SOS微創手術+矯正根治複雜甲溝炎症狀
      • 甲溝炎會自己好嗎? 凍甲、嵌甲看哪科?醫師詳解治療與預防
      • 根治甲溝炎:甲床重建、彎曲矯正與灰指甲控制的科學解方
      • 甲床壓傷
      • 黃維超醫師:凍甲矯正專家|免拔指甲根治凍甲、 甲溝炎矯正與維美醫美SOS治療術
    • 如何根治灰指甲?
    • 甲床重建:嚴重萎縮性甲癬綜合治療策略
    • 微創甲床重建 vs. 非手術矯正
  • 燙傷修復
    • 燒燙傷處理與除疤黃金三個月
    • 燒燙傷急救與護理
    • 燒燙傷水泡處理與除疤終極指南:黃維超醫師的再生癒合療法
    • 排氣管燙傷急救懶人包
    • 燒燙傷濕式封閉療法
    • 燒燙傷新認知
    • 急性期燒燙傷照顧
    • 燒燙傷治療成功案例
      • 燒燙傷案例1 (熱碗高溫燙傷)
      • 燒燙傷案例2 (鞭炮燒燙傷)
      • 燒燙傷案例3 (排氣管燙傷)
      • 燒燙傷案例4 (排氣管燙傷)
      • 燒燙傷案例5 (排氣管燙傷)
  • 血管修復
    • 靜脈曲張
  • 最新消息
    • 活動專區
美容修復
  1. Home
  2. 美容修復
鼻雕後|鼻埋線穿出與感染
  • 微整併發症修復
    • 淚溝毛毛蟲與饅化臉
    • 微整硬塊與肉芽腫
    • 組織增生、凹陷與萎縮的綜合治療
  • 眼周修復
    • 打玻尿酸淚溝毛毛蟲怎麼辦?
    • 雙眼皮高位改低位修復
    • 下眼瞼退縮與外翻治療
    • 雙眼皮術後大小眼
  • 隆鼻修復
    • 鼻骨骨折重建
    • 隆鼻重修|全自體肋骨
    • 綜合性鼻整形|肋骨隆鼻重修
    • 鼻雕後|鼻埋線穿出與感染
    • 外傷性鼻骨骨折|臉骨骨折
    • 隆鼻感染
  • 隆乳修復
    • 胸部莢膜攣縮、自體脂肪豐胸
    • 男性女乳
  • 削骨修復
    • 二次正顎重修手術
    • 削骨手術不滿意問題
    • 下巴整形後假體不自然
  • 抽脂修復
    • 凹凸不平問題
  1. 隆鼻修復
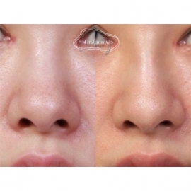
  2. 鼻雕後|鼻埋線穿出與感染
  • 19OCT2021
    鼻雕 鼻埋線 鼻微整 維持度大勝玻尿酸隆鼻,不用擔心外擴,美國專利線材100%安全。 網路好評一致推薦,立即高挺、修復期短,讓妳輕鬆擁有令人羨慕的挺鼻,從此無須再畫鼻影
    ...MOREdetail
  • 18MAR2026
    鼻雕 鼻埋線 鼻微整 鼻埋線併發症/鼻埋線穿出/鼻埋線風險/合併玻尿酸壞死/血栓 
    1.感染問題/玻尿酸併發症 ▲搶救傷口→微整形常見問題處理
    2.埋線穿出問題
    3.疤痕,造成凹陷 
    ...MOREdetail
台北維美LINE台中維美LINE高雄維美LINE

 
CONTACT INFO
  • 地址:台中市西屯區台灣大道三段660號2樓(Rich19大樓)
  • 電話:0800-209-008 / (04)2452-0808
  • 信箱:dr.jimmy168@gmail.com
  • 「台北」「台中」「高雄」
NAVIGATION
  • 團隊組成
  • 皮膚修復
  • 美容修復
  • 疤痕修復
  • 指甲修復
  • 燙傷修復
  • 血管修復
  • 最新消息
  • 立即聯絡
  • 服務據點
  • 友站連結
  • 影片專區
  • 留言詢問

Copyright © 維美醫學整形外科診所 All Rights Reserved.  隱私權政策 網頁設計 │ 新視野

  • 繁體中文
  • 團隊組成
    • 醫師團隊
    • 台北-維美x維醫
    • 台中-維美醫學整形外科
  • 皮膚修復
    • 告別妊娠紋-BIONE美磁波全解析!
    • 青春痘凹疤治療
    • 青春痘處理
      • 青春痘/膿包
      • 痘疤全攻略
    • 傷口不會好
      • 糖尿病傷口
      • 傷口組織液顏色?
      • 傷口再生癒合
    • 肝斑/黃褐斑
    • 酒糟性皮膚
      • 酒糟性皮膚炎
      • 紅通通關公臉? 玫瑰斑惹禍!
      • 蟲蟲大危機!臉紅癢癢症?
      • 臉腫瘤面面觀
    • 異位性皮膚炎
  • 美容修復
    • 微整併發症修復
      • 淚溝毛毛蟲與饅化臉
      • 微整硬塊與肉芽腫
      • 組織增生、凹陷與萎縮的綜合治療
    • 眼周修復
      • 打玻尿酸淚溝毛毛蟲怎麼辦?
      • 雙眼皮高位改低位修復
      • 下眼瞼退縮與外翻治療
      • 雙眼皮術後大小眼
    • 隆鼻修復
      • 鼻骨骨折重建
      • 隆鼻重修|全自體肋骨
      • 綜合性鼻整形|肋骨隆鼻重修
      • 鼻雕後|鼻埋線穿出與感染
      • 外傷性鼻骨骨折|臉骨骨折
      • 隆鼻感染
    • 隆乳修復
      • 胸部莢膜攣縮、自體脂肪豐胸
      • 男性女乳
    • 削骨修復
      • 二次正顎重修手術
      • 削骨手術不滿意問題
      • 下巴整形後假體不自然
    • 抽脂修復
      • 凹凸不平問題
  • 疤痕修復
    • 開眼頭疤痕預防與處理
    • 深度傷口疤痕原位再生技術
    • 蟹足腫治療 - BPCI環鑽法
    • 疤痕注射引發皮膚潰瘍之臨床處置
    • 疤痕修復完全指南 - 減張縫合技術
    • 蟹足腫治療終極指南
    • 玻尿酸壞死搶救
    • 剖腹產疤痕完美修復
    • 蟹足腫治療新紀元:Derma V 結合 SRT-100 全方位整合治療
    • BI-ONE 美磁波,無痛修復的革命性選擇
    • 如何除疤修疤,解決疤痕三良方
    • 告別疤痕焦慮:早期介入與治療新觀念
    • 臉部撕裂傷靠顯微手術可以好好除疤
    • 雙眼皮疤
    • 嘴唇疤痕
    • 鼻翼疤痕
    • 白疤黑色素細胞移植
  • 指甲修復
    • 甲溝炎(凍甲)根治權威攻略
    • 甲溝炎、凍甲怎麼辦?
      • 甲溝炎根治專家
      • 指甲矯正免拔指甲: 根治甲溝炎、肉芽、捲甲的 SOS 完整治療術
      • 告別慢性凍甲、肉芽!SOS微創手術+矯正根治複雜甲溝炎症狀
      • 甲溝炎會自己好嗎? 凍甲、嵌甲看哪科?醫師詳解治療與預防
      • 根治甲溝炎:甲床重建、彎曲矯正與灰指甲控制的科學解方
      • 甲床壓傷
      • 黃維超醫師:凍甲矯正專家|免拔指甲根治凍甲、 甲溝炎矯正與維美醫美SOS治療術
    • 如何根治灰指甲?
    • 甲床重建:嚴重萎縮性甲癬綜合治療策略
    • 微創甲床重建 vs. 非手術矯正
  • 燙傷修復
    • 燒燙傷處理與除疤黃金三個月
    • 燒燙傷急救與護理
    • 燒燙傷水泡處理與除疤終極指南:黃維超醫師的再生癒合療法
    • 排氣管燙傷急救懶人包
    • 燒燙傷濕式封閉療法
    • 燒燙傷新認知
    • 急性期燒燙傷照顧
    • 燒燙傷治療成功案例
      • 燒燙傷案例1 (熱碗高溫燙傷)
      • 燒燙傷案例2 (鞭炮燒燙傷)
      • 燒燙傷案例3 (排氣管燙傷)
      • 燒燙傷案例4 (排氣管燙傷)
      • 燒燙傷案例5 (排氣管燙傷)
  • 血管修復
    • 靜脈曲張
  • 最新消息
    • 活動專區